Captain’s log, stardate 20251228.15
28 de diciembre…
Día 362 de 365 proyectados para este año. Por ende, quedan algo más de 3 días o si acaso unas 100 horas.
Como es costumbre ya, emito el resumen de lo que fue 2025 junto con la proyección (el outlook) para 2026. Antes de empezar, necesito dejar muy en claro el significado de la palabra “proyección”:
Una proyección meteorológica o prevision climática es una tendencia a tener ciertas condiciones climáticas en un período de tiempo en particular (puede ser un día, una semana, un mes o un año). Esto nos indica que no es algo definido ni 100% certeras.

Hago esta acotación debido a que en ciertos momentos de este año, leí a personas que indicaban que mis “predicciones” no eran acertadas y es algo que me dió mucha risa en su momento ya que ellos y yo sabemos que si hay algo volátil es esto, la meteorología.

Sigo pensando que eran “envíados”, amantes del drama climático o que simplemente son personas que les gusta ser nubes grises involuntarias, de esas que aparecen con los chaparrones fugaces. Sin importar lo que sea, gracias por acompañarme en este viaje.

A nivel del clima, en Venezuela tuvimos hasta un 300% más de lluvias. Si, un incremento importante en comparación con lo que siempre se recibe en años Niña. Sin embargo, no todo fue agua. Tuvimos Fuertes períodos de calor y la temporada seca se dejó sentir en zonas como los llanos centrales y la centro norte costera tanto a inicios de año como entre marzo y abril junto con agosto y septiembre, estos últimos, gracias a una buena conocida: la declinación solar que ahora está al norte de Chile sobre Antofagasta, solo un par de grados al norte del famoso trópico de Capricornio.

La veremos subir y pasar por Venezuela ahora en marzo mientras que llegará al trópico de Cáncer el 21 de junio cuando llegue el Verano boreal para luego empezar a descender nuevamente. Mientras el mundo sea mundo, eso será asi.
Se les llama de esa manera porque el 21 de junio, el sol se encuentra en Cáncer mientras que el 21 de diciembre está en Capricornio. El primero se ubica en el estrecho de la Florida y en el Cabo de San Lucas en Baja California Sur, si de América hablamos. El de Capricornio atraviesa el norte de Chile, sur de Bolivia, Paraguay y el sur del Brasil en Sudamérica.

Apure, Portuguesa, Barinas, Guárico, Lara y Cojedes fueron víctimas del agua en el año que está por terminar. Puentes que cedieron, autopistas inundadas, carreteras que cedieron no sólo ante la fuerza del agua sino a la desidia gubernamental en un país en dónde invertir en mantenimiento NO es una opción desde hace casi 3 décadas.
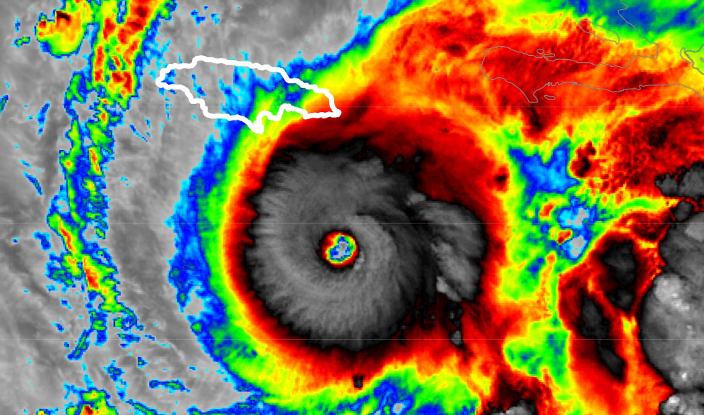
Una temporada de huracanes en el Atlántico Norte que terminó mucho antes de tiempo pero que nos enseñó que el cambio climático (si, ese que algunos niegan) sigue más vivo que nunca. 13 depresiones, 13 tormentas, 5 huracanes y 4 huracanes mayores en dónde Andrea fue la primera en junio 23 y la tristemente célebre Melissa fue la última y la más fuerte el 31 de octubre.

115 Muertos nos dejó la temporada y un huracán mayor con la 3ra presión más baja desde que se llevan registros en esta parte del charco: 892mb y vientos máximos de 295 km/h. Una verdadera salvajada fue Melissa.
Quedaron pendientes por desfilar Néstor, Olga, Pablo, Rebekah, Sebastien, Tanya, Van y Wendy. Prácticamente la mitad pero con una temporada que vino con todo y que se dejó sentir fuertemente entre Agosto y Octubre como es costumbre.
2026 sería un año determinado por El Niño. En estos casos la tendencia es de mayores huracanes en el Pacífico Oriental y menos en el Atlántico Norte. Sin embargo, el próximo año podría ser distinto ya que tendríamos hasta 14 tormentas nombradas (una más que en 2025), 7 huracanes y 3 huracanes mayores. Un hito si hablamos de un Niño calentando al Pacífico oriental tropical.

Los siguientes nombres marcarían la pauta en 2026, si de tormentas hablamos:
Arthur
Bertha
Cristobal
Dolly
Edouard
Fay
Gonzalo
Hanna
Isaias
Josephine
Kyle
Leah
Marco
Nana
Omar
Paulette
Rene
Sally
Teddy
Vicky
y Wilfred
Hablemos del Niño y no es Jesús precisamente.
Este fenómeno (en dónde la temperatura de la superficie del Pacífico Oriental tropical se calienta) muestra una tendencia al alza llegado el trimestre Mayo-Junio-Julio. A mediados del Verano boreal (Agosto) se observaría bien definido e influyendo en la temporada de lluvias en Venezuela y Colombia.
No estoy diciendo que no va a llover en la mitad de la zafra, estoy indicando que se podría dar una disminución en la intensidad de las mismas.
Los modelos indican una Niña debilitándose a medida que avanza el primer semestre. La aparición de un ENSO Neutral dejarían agua en porciones de los llanos centrales, la región centro norte costera, el oriente y Guayana. Occidente se observaría más seco y por ende, el verano prometería en Apure y Barinas.
Una vez nos llegue el verano boreal (luego de junio 21), el segundo semestre estaría marcado por el Niño. Si bien tendríamos un período seco marcado en porciones de la centro norte costera, los llanos centrales y el nororiente del país, aún se esperaría humedad en Amazonas, Bolívar y el Esequibo.
En Español: El Niño “podría” influir en la segunda mitad de la temporada de lluvias en Venezuela y con esto, en las zafras arroceras y maiceras en estados como Cojedes, Guárico y Apure (por citar a 3).
Acá en Colombia también podríamos tener agua de la buena ya que se esperan variaciones importantes a medida que el ENSO neutral se acaba y llegamos al Niño.
Dicho esto, son las primeras luces de lo que se viene en 2026. Para información adicional, pueden contáctarme por vía privada para asesorías al agro o suscripciones al servicio Pro.
El año que inicia la medianoche del jueves nos trae también el lanzamiento de Artemis II. Esta será la primera mission tripulada a la Luna desde el Apolo 17 (si, en 1972, hace casi 53 años).

El despegue se estima sea el 5 de febrero de 2026 y la misión duraría 10 días.
Sin embargo, lamentablemente no alunizaremos esta vez sino que se hará un sobrevuelo a nuestro satélite natural. Ese podría ser el prefacio de la “Reconquista de la luna”.
Y digo reconquista porque a diferencia de algunos, para mi y para millones de seres humanos, si pisamos la Luna y no una, sino varias veces en los 60s y 70s. Eso de las teorías conspirativas y de los terraplanistas jamás fue conmigo so, next one.

Aquí en el puente de mando las cosas mejoraron para la Gloria de Dios. Sin embargo, el costo fue alto. Iniciamos 2025 en medio de quimioterapias muy fuertes. Lo empezamos con la ansiedad y el suspenso a flor de piel pero en medio de todo había algo en común y era la fé, la resilencia y el seguir adelante porque sabíamos que arriba Dios estaba obrando y lo hizo en su tiempo perfecto. En febrero era la siguiente tomografía y ya no había nada, ni tumor ni metastasis ni nada. Dios, la fé, el medico, los medicamentos y un cambio extremadamente radical en la alimentación fueron factores claves en ese camino.

Yo, como cuidador, también viví momentos muy duros que terminaron en una ansiedad muy fuerte que me impactaba hasta ratos al menos, hasta octubre de este año cuando ya mi cerebro había “procesado” de que el peligro había pasado. No fue fácil, fue difícil para mi el asimilar esto cuándo estábamos sentenciados y lo digo con toda responsabilidad, tuve que buscar apoyo remoto y lo tuve, agradezco a Dios y a ese equipo de personas que estuvieron allí.

A nivel laboral también hubo cambios y para mejor. De pasar a trabajar en las noches atendiendo a usuarios de Sudáfrica, Europa y Asia pasé a atender sólo a USA. Hubo mejoras, pasé de ser el “Caballero de la noche” a simplemente ser “Bruce Wayne” o el “joven Bruce”, ya más nunca supe lo que era trabajar un sábado ni estar en el día como un zombie por no poder dominar la ausencia de serotonina que gobierna ese período entre las 6 de la mañana y las 10 de la noche.

Hubo mejoras salariales, me reconocieron mis conocimientos y me asignaron tareas alternas, ya no era el “simple analista” y tras ello, vinieron mejoras tecnológicas. Se cambiaron equipos y se adquirieron algunas cositas para el telescopio y demás.

Si de aficiones hablamos, pude adquirir mi réplica del DeLorean de Volver al Futuro II, la figura de “Gandalf el Blanco”, Frodo Bolsón y mi personaje favorito de Star Wars: el StormTrooper que, a pesar de servir al emperador, tenia y tiene su cuota de protección.

Inicié el gym de manera seria y le fui poniendo más y más cariño (aunque no bajo desde el martes 23, hahaha). Me he definido y tengo el rumbo marcado.

Con Shadowfax se recorrieron 3315 kilómetros en 362 días. No todos fueron planos ya que el desnivel positivo de este año fue de 35 mil metros de altura o lo que es igual: 4 veces y media la altura del Monte Everest.

2026 se viene con más cosas a nivel de ciclismo, personalmente necesito hacer algunos retos pendientes como el de bajar a Choachí acá en Bogotá y el de hacer el Alto de la Línea y de Letras y obviamente, encontrar el equilibrio entre el gym, definir más masa muscular y volver en algún momento a los 67-68 kilos de peso.
Si de idiomas hablamos, espero tener mejoras con el Británico y mantener el dominio del Italiano y Portugués Brasilero. Se vienen algunas cositas nuevas con el site las cuales no diré ahora sino sobre la marcha a medida que transcurra el viaje.
Yo también debo ir al medico y hacerme algunos chequeos. Ya no tengo 35, son 47 que iniciaron el 10 de diciembre asi a veces la gente crea que tengo 40.
También se vienen cambios profundos, se nos vienen traslados a inicios de 2026 y cierre radical de ciclos para iniciar otros. Llega el momento para que las energías fluyan de manera correcta y se liberin de sitios en dónde no sólo han estado estancadas sino en dónde también se sienten pesadas a veces, más que todo en un entorno en dónde vivimos tantas pero tantas cosas desde septiembre de 2024 hasta el segundo trimestre de 2025. Llega el momento de prender los phasers y pasar a Warp 8 para tomar las acciones necesarias y seguir adelante.

El site, por el momento y hasta febrero, estará en modo “offline”: una vez a la semana actualizaré el marquee. Las infografías de las fases lunares del mes seguirán entre otras cosas. Las suscripciones del Agro y Pro están offline y pausadas más sin embargo las consultas directas siguen abiertas. Esto, mientras defino nuevas estrategias y nuevos precios que reconozcan un poco la labor realizada.
Termina 2025 y sigo mejorando, hay muchas mejoras en la nube, más almacenamiento, más calidad y eso no es todo, actualmente me encuentro preparando otra serie de cositas.
Ya no le paro tanto a lo que hacen los otros. He investigado y corrido análisis y mi website está a años luz de los otros. Sigue en criollo y con mi esencia, lo cuál lo sigue hacienda único.
Ya no es el perfil aquel que inició en junio de 2019 en dónde la gente decía “mira, ahi llegó el loquito aquel”. Ahora se diversificó e informa desde Ushuaia hasta Anchorage y desde Bogotá hasta Tokio. Es una de las cosas que siempre quise hacer desde que se despertó mi curiosidad sobre el clima y las alertas tempranas aquella mañana de diciembre de 1999 cuándo las lluvias nos dieron una puñalada trapera con la tragedia de Vargas. Una que pudo haberse minimizado si se hubiera tenido las medidas de seguridad y los monitoreos con los sistemas de alerta temprana activos pero bueno, no se tuvieron y al final fue el pueblo el que pagó todo.

Se viene 2026 y con él, otro triste año de records en temperaturas globales, se viene el “Segundo round” de este máximo solar, se vienen tantas cosas por Dios santo que ni sé por dónde empezar “o finalizar”.

Más allá de todo no me queda más que agradecerles a todos. A los que siempre han estado, están y estarán. A los críticos, a aquellos que, por conveniencia o necesidad están casados con los entes oficiales, a aquellos que siguen diciendo que soy charlatán. A los que me han apoyado en el Pro y en el Agro, a mi gente de Instagram, TikTok y YouTube (streams que volverán en su momento, by the way). A los que me quieren y aprecian, a los que me envidian y me quieren ver mal, a los que me quieren y esperan ver bien, a todos ellos, gracias. De mi parte no hay un sentimiento de rancor o de envidia. Yo sólo espero que también les vaya bien porque en este universo el Sol, nuestra estrella principal, sale para todos.
Durante muchos meses pensé una y otra vez que estaba en medio de una fuerte tormenta para luego darme cuenta de algo clave: y es que yo soy la tormenta.

De esta manera cerramos el annual outlook (proyección anual) de 2026. Desde el fondo de mi corazón deseo que el año que viene sea mucho mejor (no es bisiesto, el próximo bisiesto es en 2028). Que tengan vida, salud y prosperidad porque el dinero llega con esfuerzo y no nos vamos a la tumba con él.

A mi esposa, hijos, padres, suegros, hermanos, sobrinos, primos, amigos, suscriptores y no suscriptores, a los perfectos desconocidos que siempre han estado allí, a los que se me fueron antes, a mi mami Yely que ya no está en este plano pero que fue el gran oráculo de SpockPlanet, todo este esfuerzo es por y para ustedes.
Feliz Año Nuevo 2026!
Dios me los bendiga a todos, sin excepción.
Beam me up, Scotty!
Spock🖖
¿Quieres dejar tu opinión o hacer alguna pregunta? Al hacer click en el siguiente link lo podrás hacer.
Welcome! It’s your first time on this post, and we are glad to have you.

